新井建設株式会社 碧南市西山分譲 (最終1区画)価格改定 建築条件なし

前のページへ 次のページへ

物件情報

  • 物件情報
  • 碧南市西山分譲 (最終1区画)価格改定 建築条件なし

碧南市西山分譲 (最終1区画)価格改定 建築条件なし

更新日:2025年10月04日 土曜日
New!

北道路、閑静な住宅地、新川学区、駅にも近いです。
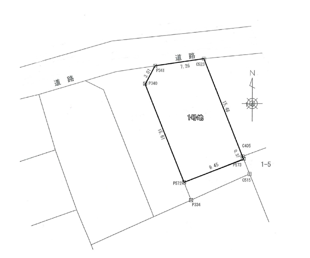
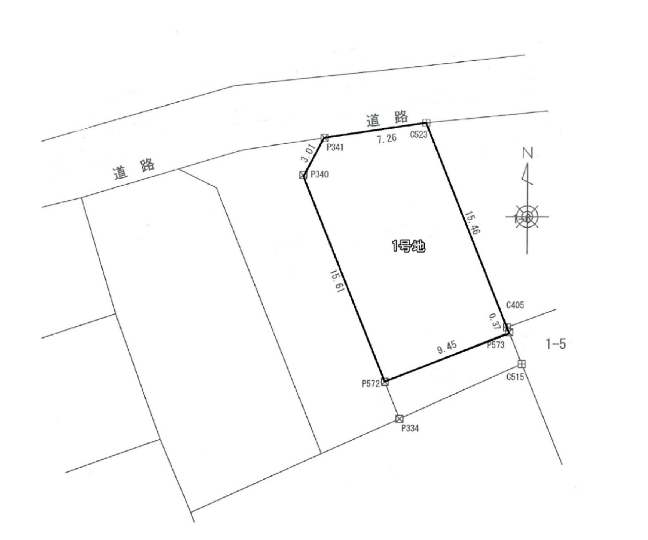
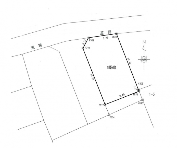
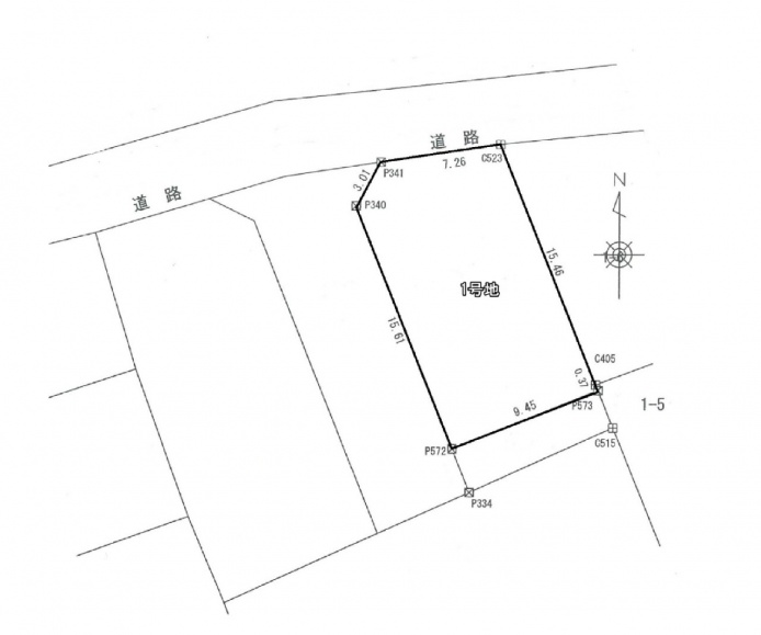
都合により再分筆しました



                                                                                                    令和7年2月2日現在 

          所在地  価格(万円) 坪単価(万円) 面積(平米)  坪数  地目   
碧南市西山分譲1号地  1,430 30.1      157.05  47.50 宅地       
碧南市西山分譲2号地      146.15  44.21 宅地   成約済     

 

建築条件なし

・土地造成工事済

・周囲化粧ブロック積 

・土地引渡開始時期 令和7年3月より

・農地法第5条届出受理要(申請費用は買主負担)

上下水道引込のうえ引渡し

・上水道分担金は別途必要 99,500円

・下水道受益者負担金 (土地面積×350円/㎡)が別途必要です。

売主に付き仲介手数料は不要です。(直接取引の場合のみです)

 

 


■物件概要

  • 所在地/碧南市西山町町 
  • 交通/名鉄三河線「北新川」駅約600m
  • 用途地域/第1種低層住居専用地域
  • 建ぺい率/60%
  • 容積率/100%
  • 地目/宅地
  • 建築条件なし
  • 取引態様/売主


■ライフインフォメーション

  • ローソン碧南山下町店…………約270m
  • アオキスーパー碧南店…………約800m
  • 市立新川小学校……約1.7km
  • 市立新川中学校……約1.2km



どんな些細なことでもお気軽にお問い合わせください。TEL:0566-42-1196。
境界線

〒447-0057
愛知県碧南市鶴見町5丁目63番地

TEL:0566-42-1196

FAX:0566-42-2296


Copyright ©  新井建設株式会社 All Rights Reserved.